В последнее время я все чаще вижу по телевизору последствия такого страшного природного явления, как тайфун. Безудержная стихия оставляет миллионы людей без крова над головой, наносит серьезные увечья и даже нередко лишает жизни. Я решила поподробнее узнать о таком буйстве стихии, чтобы быть готовой в случае возникновения чрезвычайной ситуации.

Тайфун: что это такое
Тайфун — это разновидность тропического циклона, который образуется исключительно над поверхностью моря или океана. Он представляет собой мощнейший атмосферный вихрь, который характеризуется очень большим снижением атмосферного давления в середине. Для тайфуна характерно передвижение воздушных масс по спирали со скоростью, достигающей четырехсот километров в час.

В настоящее время до сих пор неизвестны достоверные причины возникновения тайфунов, однако считается, что они зарождаются в участках с большой разностью давлений на достаточно близких расстояниях. При этом значительные воздушные массивы поднимаются вверх и образуют воронку, а внутри самого тайфуна образуется «глаз бури», внутри которого погода остается спокойной.
Тайфун: опасность для людей
При приближении к прибрежной зоне тайфун образует огромные волны, высота которых может превышать четыре метра. При этом он одновременно обладает многими поражающими факторами:
- огромная подъемная сила;
- большая скорость движения воздушных масс;
- наводнения из-за выпадения огромного количества осадков;
- метание предметов, поднятых в воздух;
- обрывы линий электропередач;
- возникновение взрывов и пожаров.

Меры предосторожности
Надеюсь, вам не доведется попасть на отдых во время буйства стихии, однако, знать, как нужно себя вести при тайфуне, необходимо каждому:
- передвигайтесь перпендикулярно направлению движения тайфуна;
- не оставайтесь в машине, ее может подхватить тайфун вместе с вами;
- укройтесь с самом прочном строении поблизости, лучше всего в подвале дома;
- закройте в доме окна со стороны приближения бури и откройте с противоположной стороны — это поможет выровнять давление и воспрепятствует взрыву.
Я еще с детства знала о всевозможных природных катастрофах. Меня тогда очень сильно пугал тайфун, и я боялась, что он может случиться и в моем городе.

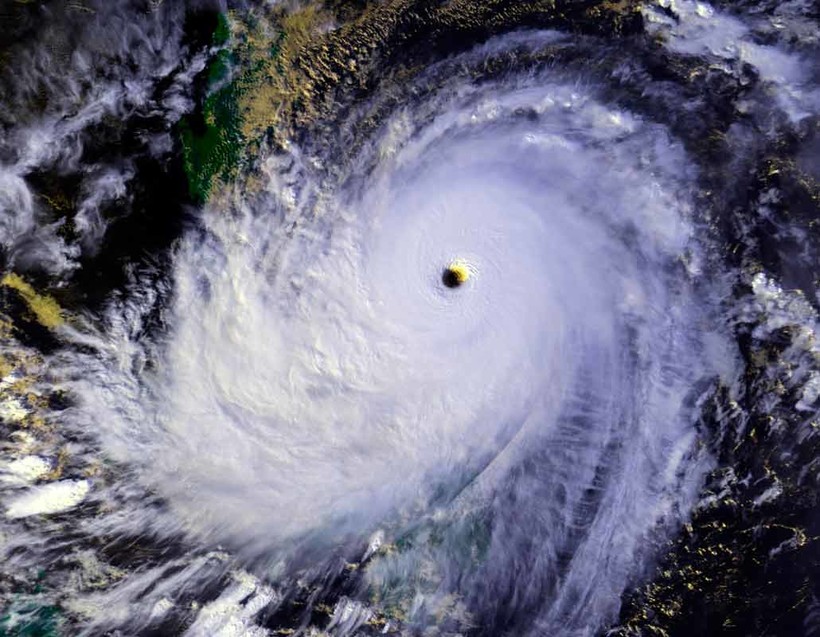
Как выглядит тайфун
Это сейчас я уже понимаю, что все мои опаски были напрасны, ведь тайфуны возникают только в тропической зоне. Это по своей сути один из видов циклона. Циклон сам по себе — не самое страшное явление, так как он вызывает довольно небольшие вихри. Однако тайфун опасен тем, что вихри могут набирать большую мощность и достигать силы урагана. Чаще всего тайфун образуется в Тихом океане и может бушевать от нескольких дней до нескольких недель. В голове не укладывается, что на протяжении одного года в среднем возникает больше 20 тайфунов.

Разрушительный тропический циклон
Сила природы настолько велика и неподвластна человеку, что просто ошеломляет. Множество экспертов, изучающих стихийные явления, достоверно не могут назвать причины того, почему возникают тайфуны. Известно то, что эти явления появляются только над поверхностью океана или моря в зонах с очень жарким климатом. Эти природные катаклизмы сопровождаются сильными и шквалистыми ветрами, а также с огромными волнами.

Есть такие интересные факты о тайфунах.
- Тайфуны, которые формируются в Северном полушарии закручиваются в спирали и вращаются против часовой стрелки.
- Тайфуны, которые образуются на Юге вращаются по часовой стрелке.
- Эпицентр тайфуна называют «глазом бури».
- В самом центре тайфуна довольно спокойная обстановка: низкое давление, нет ветра и облачности.
- Само слово «тайфун» в переводе с китайского обозначает очень сильный ветер.
- Тайфун не возникает на экваторе, а только вблизи его.
- Перед возникновением тайфуна на небе появляются его первые признаки.
- Имена тайфунам дают не случайно, существует целая система для их обозначения.
- Эпицентр тайфуна окружает так называемая «стена глаза».

Больше всего меня поразил тот факт, что чаще всего перед самим тайфуном обычно царит хорошая погода. Удивительная природа тайфуна в том, что он застигает врасплох: безоблачное небо, штиль, хорошая видимость, а после — ураган.
Планета Земля — это живой организм. Именно такое мнение давно бытует в народе, и я почему-то склонна считать, что именно так все и есть. На мой взгляд, природные катаклизмы — это один из ее действенных способов говорить с нами. И один из самых ужасающих и разрушающих называется «тайфун».

Тайфун и ураган — что это
Два понятия, которые я с детства постоянно путала, — это «тайфун» и «ураган». По своему характеру, они и вправду похожи, но со временем я их научилась отличать. Во-первых, тропический циклон, который возникает над морской поверхностью и сопровождается мощными бурями или мощными штормовыми ветрами, называется «ураганом». По сути, тайфуны — это те же ураганы, но образованные над водами Индийского или Тихого океанов, в тропических широтах нашей планеты. К тому же, разница между тайфуном и ураганом состоит в том, что первые несут за собой более глобальные последствия, ибо вторые уступают им в мощности.

Печальные факты
С тех пор, как понятие «тайфун» приобрело независимое значение, и его начали отдельно исследовать, история насчитывает более десятка глобальных катастроф, ставших причиной смерти тысяч жителей. Печальные факты, указывают на количество жертв:
- Тайфун в Гонконге в 1841 году (погибло более 1 тыс. человек).
- Тайфун в Гонконге в 1906 году (ужасающее число — 10 тыс. человек погибло).
- Тайфун на острове Хонсю в 1959 году (пострадавших 15 000, погибло 5 000).
- Тайфун в Восточном Пакистане (входит в список наиболее разрушающих событий 20-го века, число погибших насчитывается до 500 тыс.).
- Тайфун 10 августа 2009 года, охвативший всю Юго-Восточную Азию. Более 700 тыс. погибших.

Причины возникновения
Ученые многие годы пытаются найти главные причины возникновения этого ужасающего природного явления. И несмотря на то, что их работа дает свои результаты, в конце концов мы уже знаем из-за чего он возникает, и можем предсказать его траекторию движения, науке неизвестно, как это предотвратить.

Мне кажется, что природа действительно пытается нам что-то сказать…
Слово «тайфун» я множество раз слышал в новостях. Это природное явление происходит, как правило, вдали от России, поэтому приехать и посмотреть тайфун где-нибудь на Филиппинах или в Индонезии не так уж и просто. Я летал в те края, видел тропические дожди, а вот тайфун не застал. Впрочем, интересно, что это слово имеет несколько значений.

Тайфун является разновидностью циклона
Интересно, что данное слово имеет корни в двух языках. Оно могло прийти, как из китайского, в котором означает сильный ветер, так и из греческого, где тайфуном в античные времена звали мифическое существо олицетворявшее бури и ветры, ведь греки были известные путешественники и со всякими явлениями сталкивались, поэтому и населяли окружающий мир мифологическими существами.
Сейчас в СМИ тайфуном называют тропические циклоны в тихоокеанском регионе, которые иногда докатываются до нашего Приморского края, Сахалинской области и Камчатки, а больше всего от них страдают такие страны:
- Филиппины.
- Китай.
- Вьетнам.
- Тайвань.
- Япония.

Тайфуны в них представляют собой сочетание ураганных ветров и рекордного количества осадков, это ведет к разрушениям и человеческим жертвам. Например, в ноябре 2013 от тайфуна Хайян погибло около 5000 человек в регионе Южно-Китайского моря.

Слово «тайфун» имеет несколько значений
Если посмотреть на окружающий мир, то можно заметить, что данным термином обозначают не только циклоны, но и некоторые другие предметы и даже события:
- Военные операции. В 1941 немцы так назвали наступление на Москву. В итоге, они были разгромлены Красной Армией. В начале 1989 операцию «Тайфун» провели в Афганистане советские войска.
- Всякую технику, от истребителей до канонерских лодок. В компьютерных играх мне попадались британские самолеты с таким названием. На парадах 9 мая во многих городах можно увидеть КАМАЗ-«Тайфун».
- Научно-производственные объединения со специализацией на приборостроении.
А еще мне встречались сорта разных растений с названием «Тайфун», например, виноград, помидоры и картошка.
я нашел ошибку!