Чтобы легче ориентироваться на местности, надо было придумать единую, простую систему, как обозначать направления. Поступили рационально, привязав его к компасной стрелке которая упорно указывает на север. Вот угол между линией на север и направлением на географический объект или любой предмет назвали азимутом. Считать его надо по кругу вращения нашего солнышка, от 0 до 360 градусов. Теперь достаточно сказать число азимута и грамотному путешественнику сразу ясно, куда направляться.
Ориентирование на местности — мой конек еще со школьных лет. Походы всегда были моим любимым мероприятием, и пока некоторые товарищи никак не могли определить направление, у меня все было готово, более того, я уже определял истинный азимут. Что это такое и как это сделать, я расскажу ниже.
Что такое азимут
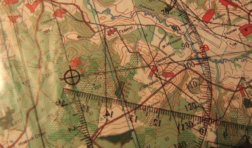
Так принято называть угол, который образован двумя направлениями — северным (для южного полушария — южным) и выбранным объектом. При этом, вершиной угла выступает точка, в которой находится наблюдатель. Азимут применяют для ориентирования в таких местах, где нет возможности свериться по карте, однако зная его можно достигнуть цели не используя ориентиры, причем на абсолютно незнакомой местности. Поскольку это угол, то измерение ведется в градусах — 0°-360°, с указанием либо магнитного, либо истинного азимута.
Как определить магнитный и истинный азимут
Поскольку стрелочка компаса указывает на магнитный полюс, а не на истинный, то и азимут в данном случае называется «магнитным». В принципе, для ориентирования в обычных условиях этого достаточно, но если необходимо свериться с картой, то потребуется сделать небольшие расчеты. Азимут на карте — угол между объектом и меридианом, который, как известно, направлен четко на Северный полюс, а значит, отличается от магнитного. Эта погрешность называется «магнитным отклонением», которое бывает восточным («+») или западным («-»). Например, для Московской области этот показатель колеблется в пределах +8... +9, поскольку магнитное поле не статично. Итак, чтобы определить азимут истинный, исходя из показателя магнитного, необходимо:
- по карте установить азимут истинный;
- определить его на местности;
- в случае, когда отклонение восточное, сместить направление направо на количество градусов, которое соответствует отклонению.
Как правило, отклонение обозначено на картах в нижней части за рамкой. Бывает, что карта не содержит такой информации, поэтому перед тем, как отправляться в путь, рекомендую обязательно узнать этот показатель. Вот и все, ничего сложного!
В школе у меня были серьёзные проблемы с вычислением азимута, потому что эту тему я пропустила из-за болезни. Пришлось получить несколько двоек, после чего самой разбираться, что же это за зверь такой, и как его считать. Всё оказалось довольно просто.
Что такое азимут и с чем его едят
Определение донельзя простое: угол между направлением на север и предметом, относительно которого и рассчитывается азимут. Вычислять его можно как с помощью карты, так и на местности, но есть одна загвоздка: по изображению определяется истинный азимут, в пространстве же применяется магнитный. Чтобы конвертировать эти величины, нужно воспользоваться магнитным склонением (угол между истинным и магнитным меридианами). Практически всегда оно указывается на карте.
Думаю, стоит уточнить, что азимут высчитывается не как душа пожелает, а только по часовой стрелке, то бишь, если величину определяем для какой-то западной точки, то её азимут никак не будет >=90 градусов, только 270 и больше.
Астрономический азимут
Это уже совершенно друга величина, которая рассчитывается для любого небесного светила и показывает уже не угол, а расстояние от объекта до небесного южного направления (в астрономии азимут рассчитывается относительно юга). В небесной сфере существует своя система координат, которая, как и азимут в частности, используется во многих расчётах:
- определении положения какого-то объекта в пространстве;
- контроле движения небесных тел;
- вычислении координат объектов на Земле.
На последнем остановлюсь немного подробнее и уточню, что декартова система координат не позволяет определить расстояние от поверхности Земли до объекта, соответственно, и азимут тоже не на 100% точный получается. Поэтому для сверхточных вычислений учёные сопоставляют астрономические и геодезические данные.
Простым туристам же достаточно уметь вычислять лишь истинный и магнитный азимуты, переводить одну величину в другую и различать прямой и обратный азимут, разница между которыми всегда 180 градусов, к которым может добавляться градусная мера сближения меридианов.
я нашел ошибку!



