Как вы думаете, насколько хорошо изучено дно Мирового океана? Ответ на этот вопрос, скорее всего, многих удивит: большая часть дна Мирового океана практически не изучена. Ученые владеют достоверной информацией о прибрежных участках, о тех местах, где ведется активная добыча полезных ископаемых, но все остальное покрыто тайной.
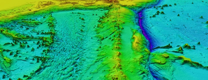
А как же карты, на которых изображены срединно-океанические хребты, Марианская впадина, глубинные разломы и прочие известные каждому школьнику элементы дна Мирового океана? На самом деле все это изучено весьма поверхностно, а составленные карты обладают точностью в лучшем случае до 500 метров, а иногда этот показатель доходит и до 5 километров. Почему же мы так мало знаем о нашей собственной планете, ведь даже поверхности Луны и Марса изучены намного лучше.

Конечно, виной всему — наличие огромной толщи воды, которая и затрудняет все исследования. Суша была сначала исхожена вдоль и поперек учеными-топографами, а затем исследована с помощью искусственных спутников Земли, которые довершили детальное картографирование поверхности. С океанами все обстоит намного сложнее.
Визуальный осмотр невозможен
Если поверхность суши исследовали путем экспедиций и визуального наблюдения, то для того, чтобы осмотреть дно океана, ученому требуется специальное оборудование, способное выдержать давление воды на значительной глубине. Учитывая сопротивление воды, скорость перемещения этого аппарата будет весьма низкой, и для того, чтобы обследовать морское дно, потребует очень много времени. Кроме того, видимость под водой резко ограничена. Немаловажен и финансовый вопрос: специальная техника для подводных погружений требует значительных финансовых затрат.
Акустические эхолоты
Наиболее достоверным способом изучение подводного рельефа являются суда с акустическими эхолотами. Но их работа также связана с существенными материальными затратами.

Если в случае с сушей каждый участок планеты, кроме Антарктиды, принадлежит какому-либо государству, которое и несет финансовые затраты по его изучению, то океан по большей части является нейтральной территорией. Нет никакого смысла тщательно исследовать то, что тебе не принадлежит и не может принести особой пользы. При этом территория морского шельфа, прилегающая к береговой линии и относящаяся к территориальным водам, изучена достаточно хорошо. Картографирование этой поверхности ведется для обеспечения безопасного судоходства, а также во время геологоразведочных работ.
Спутниковые наблюдения
Та карта дна Мирового океана, которую можно увидеть в сервисе Google Earth, сделана при помощи спутниковых исследований морского дна. Она рисует довольно красивую картинку океанического дна, но и она, увы, не так точна, как хотелось бы. Лучшее разрешение составляет 0,5 километра.
Будущее за новыми технологиями
Подробная карта дна Мирового океана все же нужна, поэтому инженеры и картографы ищут пути решения этой проблемы. Под эгидой ООН запущен проект Seabed 2030, в результате успешной реализации которого у землян наконец-то появится карта дна океана с разрешением в 100 метров. В этой сфере активно развиваются роботизированные аппараты, которые способны заниматься акустической эхолокацией в автономном режиме.

Такие системы не требуют участия человека на этапе сбора первичной информации и способны минимизировать финансовые затраты по картографированию морского дна. Программа рассчитана до 2030 года, поэтому даже при самом благоприятном раскладе карта морского дна нашей планеты появится лишь через 10 с лишним лет.
Присоединяйся к нашему сообществу в телеграмме, нас уже более 1 млн человек 😍
Ссылка на тематические чаты тут https://t.me/+69dR1AvDfdM0MTYy