Новостные каналы регулярно сообщают об ураганах, которые уже наделали немало бед на Кубе, Доминиканских островах, Ямайке и движутся к южным штатам Америки. Ученые присваивают им красивые и громкие названия, но это, пожалуй, единственное, что в них есть прекрасного. В других частях света подобные явления тоже случаются, но происходят они на порядок реже и не приводят к столь печальным последствиям. Так почему же именно жителям Карибского региона так не повезло и они подвергаются столь мощной атаке стихии?

Все дело в циклонах, которые образуются в тропической части океана, как правило, в летне-осенний период года. Пик же образования мощных штормов приходится на конец августа — начало сентября.
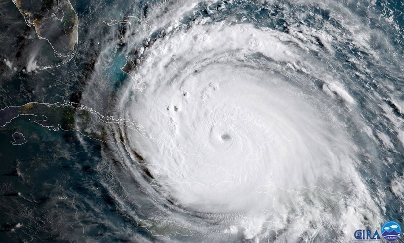
Механизм образования этих явлений обусловлен движением нашей планеты вокруг Солнца и вращением вокруг своей оси. В северном полушарии с наступлением лета увеличивающаяся солнечная активность приводит к интенсивному прогреву водной поверхности в тропических областях Мирового океана. Высокая температура воды приводит к прогреву воздушных масс над ней. Теплый воздух, расширяясь, провоцирует мощные восходящие потоки в нижних слоях атмосферы, что в конечном счете и приводит к образованию тропических циклонов. А далее, с момента образования, циклон начинает перемещаться под воздействием движения нашей планеты вокруг своей оси, попутно набирая разрушительную силу. Земля, вращаясь, формирует так называемую силу Кориолиса, под воздействием которой и происходит смещение тропических циклонов именно на северо-запад от места их образования, и ни в какую другую сторону.

Тропические циклоны формируются и в Тихоокеанском бассейне Мирового океана, но они, как правило, слабее. Механизм их образования во многом схож с природой атлантических ураганов. Зарождаются они также в тропической области, в северо-западной части Тихого океана, по причине тех же физических процессов. Затем, повинуясь направлению движения нашей планеты вокруг своей оси, смещаются в сторону северо-запада, наращивая площадь, но при этом несколько теряя в мощности. Это происходит по причине того, что основные участки суши расположены на значительном удалении к северу от места зарождения тропических циклонов в Тихом океане. Воздушные массы охлаждаются при продвижении в более северные широты, мощность восходящих потоков падает, а шторм подходит к берегам Японии и Дальнего Востока несколько ослабевшим. В то время как его атлантические собратья обрушиваются на сушу на самом пике своего развития, проделав незначительный путь от места своего зарождения.
Интенсивность и количество тропических циклонов может несколько меняться год от года, но общий механизм их образования, к сожалению, остается неизменным. И пока наша планета существует в том виде, в каком мы ее наблюдаем сейчас, жителям Карибского региона придется ежегодно подсчитывать колоссальные убытки после визитов ураганов.

Присоединяйся к нашему сообществу в телеграмме, нас уже более 1 млн человек 😍
Ссылка на тематические чаты тут https://t.me/+69dR1AvDfdM0MTYy